Skip To Content

Hinds Rd - Lot #1 - Red

Pamelia, NY 13601
  • $52,900
  • STATUS: Active Under Contract
  • ON SITE: 87 Days
  • MLS #: S1645265
Under Contract
UPDATED: 33 min ago
$52,900
  • 0
    BEDS
  • 3.9
    ACRES
  • 0
    BATHS
  • 0
    1/2 BATHS
Neighborhood:
Type:
Vacant Land / Lots
County:

School Ratings & Info

School District:

Description

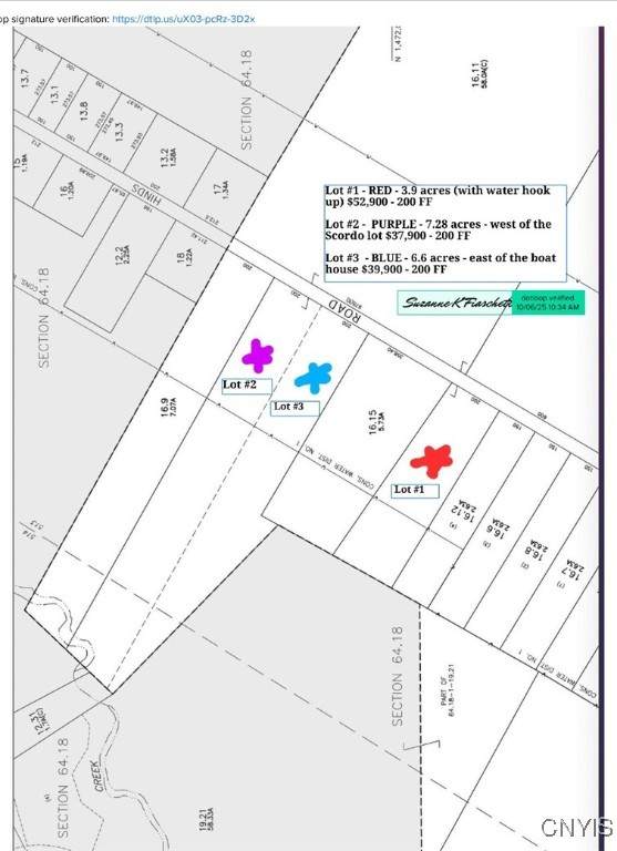
3 Vacant Building Lots Town of Pamelia / General Brown School District. Are you looking to build your dream home, just minutes from the city, yet surrounded by the peaceful feel of the countryside? These three vacant building lots offer you the best of both worlds! Located on a quiet rural road in the Town of Pamelia, you'll enjoy country living while staying within a short commute to Fort Drum, the city of Watertown, and I-81. Public water is available and ready for access, making your building process that much easier. Conveniently located, this is an ideal location for anyone seeking space, convenience, and rural charm. Bring your plans and imaginationthis may be the ideal spot you've been looking for to make your dream home a reality! Don't waitcall, click, or text today for more information!

Monthly Payment Calculator

©2026 CNYIS, GENRIS, WNYREIS. All rights reserved. IDX information is provided exclusively for consumers' personal, non-commercial use and may not be used for any purpose other than to identify prospective properties consumers may be interested in purchasing. All information deemed reliable but not guaranteed and should be independently verified. All properties are subject to prior sale, change or withdrawal. Neither the listing broker(s) nor BridgeView Real Estate shall be responsible for any typographical errors, misinformation, misprints, and shall be held totally harmless.

The data relating to real estate on this web site comes in part from the Internet Data Exchange (IDX) Program of NYSAMLS’s. Real estate listings held by firms other than BridgeView Real Estate are marked with the IDX logo and detailed information about them includes the Listing Broker’s Firm Name. Data last updated: 2026-01-18T11:13:57.713.
www.bridgeviewny.com/homes/169157492
Print Image

Hinds Rd - Lot #1 - Red Pamelia, NY 13601

  • Price: $52,900
  • Status: Active Under Contract
  • On Site: 87 Days
  • Updated: 33 min ago
  • MLS #: S1645265
0
Beds
0
Baths
0
½ Baths
3.9
Acres
Neighborhood:
Pamelia-224889
County:
Jefferson
Area:
Pamelia-224889
School District:
General Brown
Property Description
3 Vacant Building Lots Town of Pamelia / General Brown School District. Are you looking to build your dream home, just minutes from the city, yet surrounded by the peaceful feel of the countryside? These three vacant building lots offer you the best of both worlds! Located on a quiet rural road in the Town of Pamelia, you'll enjoy country living while staying within a short commute to Fort Drum, the city of Watertown, and I-81. Public water is available and ready for access, making your building process that much easier. Conveniently located, this is an ideal location for anyone seeking space, convenience, and rural charm. Bring your plans and imaginationthis may be the ideal spot you've been looking for to make your dream home a reality! Don't waitcall, click, or text today for more information!
Exterior Features

Exterior Features Dirt Driveway Lot Features Rectangular Rectangular Lot Rural Lot Cleared Level Other Structures None Road Frontage Type County Road Topography Level Waterfront YN No

Interior Features

Fireplace YN No Fireplaces Total 0

Property Features

Development Status Raw Land Documents Available Survey Listing Terms Cash Conventional Possession Close Of Escrow Possible Use Single Family Property Sub Type Residential Sewer Septic Needed Special Listing Conditions Standard Tax Annual Amount 0 Utilities Cable Available Electricity Available Water Available Water Source Public

Greater Rochester Association of Realtors logo Listing information © 2026 CNYIS, GENRIS, WNYREIS. Listing provided by Gervera Team of Keller Williams Northern New York : 315-786-1900.
©2026 CNYIS, GENRIS, WNYREIS. All rights reserved. IDX information is provided exclusively for consumers' personal, non-commercial use and may not be used for any purpose other than to identify prospective properties consumers may be interested in purchasing. All information deemed reliable but not guaranteed and should be independently verified. All properties are subject to prior sale, change or withdrawal. Neither the listing broker(s) nor BridgeView Real Estate shall be responsible for any typographical errors, misinformation, misprints, and shall be held totally harmless.

The data relating to real estate on this web site comes in part from the Internet Data Exchange (IDX) Program of NYSAMLS’s. Real estate listings held by firms other than BridgeView Real Estate are marked with the IDX logo and detailed information about them includes the Listing Broker’s Firm Name. Data last updated: 2026-01-18T11:13:57.713.
 
https://bt-photos.global.ssl.fastly.net/rochester/orig_boomver_1_S1645265-2.jpg https://bt-photos.global.ssl.fastly.net/rochester/orig_boomver_1_S1645265-2.jpg
Logo
BridgeView Real Estate
128 Ten Eyck St #2
Watertown NY, 13601